VENDITA CAPANNONE ARTIGIANALE E AREA ESPOSIZIONE
- €300'000
- €300'000
Descrizione
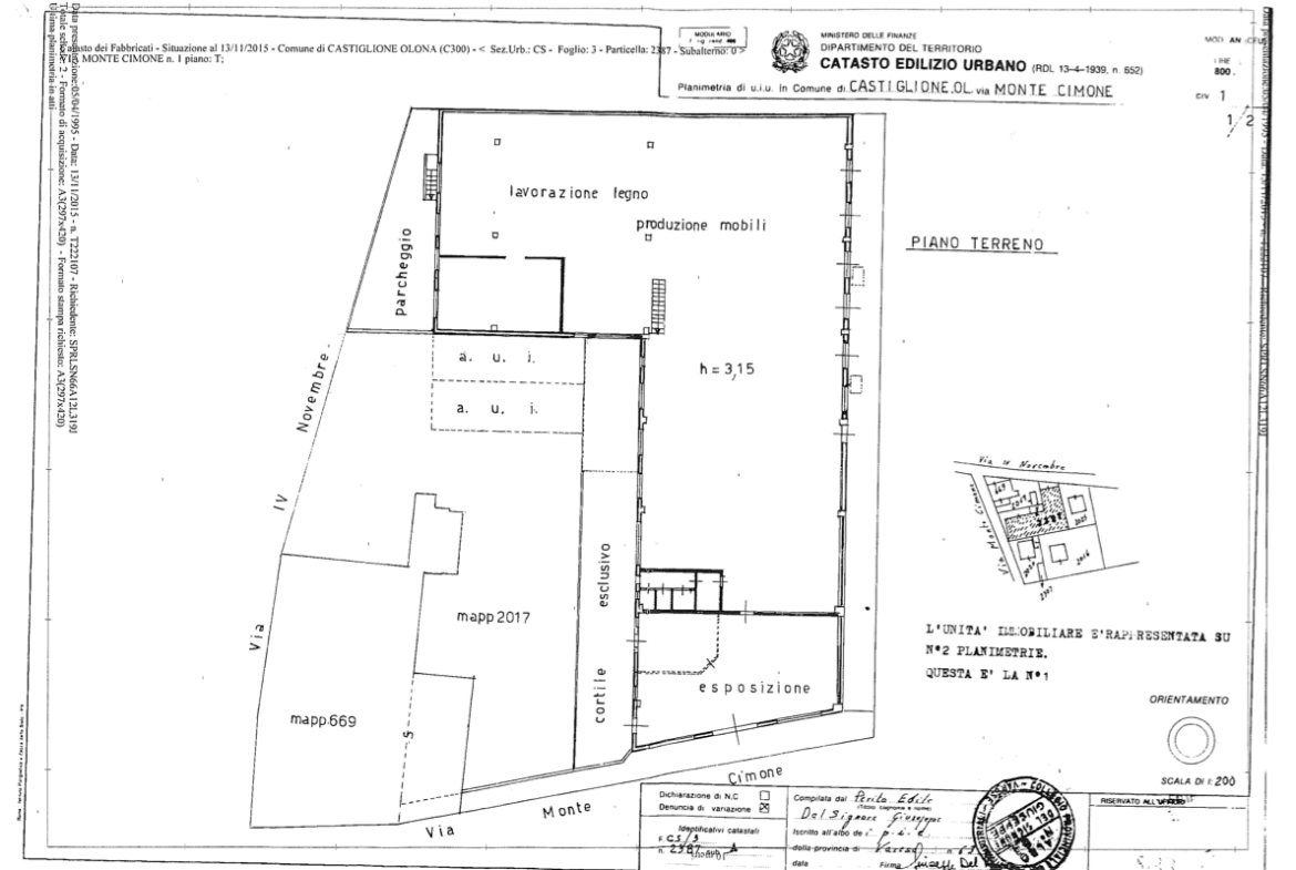
A Castiglione Olona, in Via Monte Cimone, proponiamo in vendita capannone artigianale suddiviso in quattro zone funzionali: esposizione, laboratorio di produzione, deposito prodotti finiti e locale caldaia.
Dettagli dell’Immobile
Superficie Coperta Piano Terra: 700 mq con altezza di 3.15 m sotto trave
Superficie Coperta Piano Interrato: 400 mq con altezza di 2.70 m
Area Esterna: 400 mq
Stato Locativo: Libero
Caratteristiche Costruttive e Stato di Manutenzione
Il capannone è strutturato su due livelli: piano terra e piano interrato, con una piccola area esterna. La struttura portante dell’edificio è realizzata in calcestruzzo precompresso per pilastri, travi, capriate e tegoli. Le pareti e il piano interrato sono stati costruiti seguendo le linee dell’edilizia tradizionale.
Indirizzo
Apri su Google Maps- Indirizzo: Via Monte Cimone, Somadeo, Frutteto, Castiglione Olona, Varese, Lombardia, Italia
- Città: Castiglione Olona
- Stato: Italia
- Codice postale: 21043
- Nazione: Europa
Dettagli
Updated on Gennaio 13, 2025 at 10:50 am- Prezzo €300'000
- Dimensione proprietà 1100 Mq
- Tipo di Proprietà Capannone, Laboratorio, magazzino, Commerciale
- Stato della proprietà Nuova acquisizione, Vendita
Pianifica un tour
Cosa c'è nelle vicinanze?
Classe Energetica
- Classe energetica: E
- Indice di prestazione energetica globale: 462.11 kWh/m² anno
- A4
- A3
- A2
- A1
- B
- C
- D
-
462.11 kWh/m² anno | Classe energetica EE
- F
- G


